
実は、1ヶ月以上、ココさんの調子か悪かった。
鼻が詰まって、ズーズーいってました。
食も落ちてきて、1ヶ月前は体重3,56k。
やっぱり4kは欲しい。
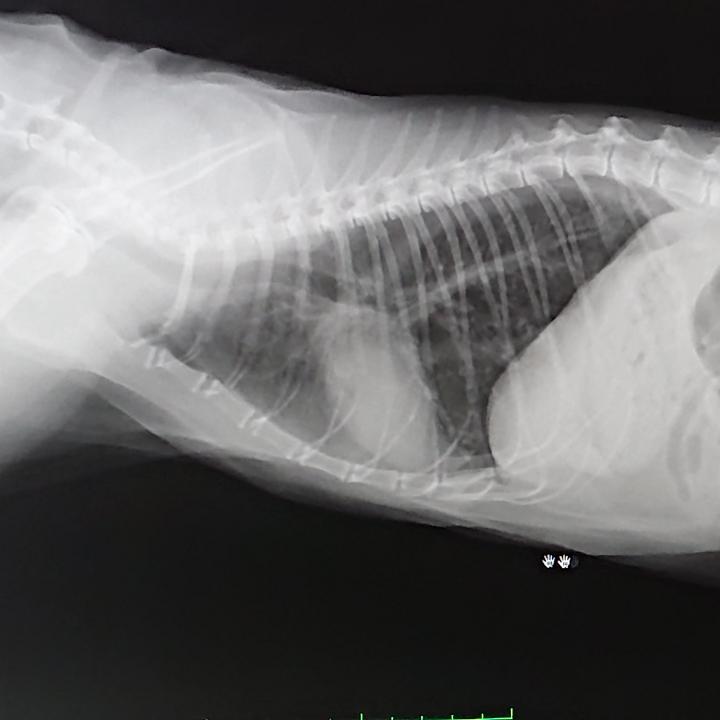
レントゲン、エコー、血液検査。


鼻がちょっと変な感じ。
感染症による蓄膿症?
でも、他の子には移ってる感じはしないから…
腫瘍?
3人の先生に診てもらっても、腫瘍らしきものもないし、鼻を抜けた喉や肺は綺麗だと言うし…
抗生剤、インターフェロン、点滴、
治らなかった。
ずっと、息がしづらい感じで、
【鼻が詰まってるんにゃよ‼️】でした。
抗生剤の種類も変えてもらいました。
治らなかった。
元気なんだけど、やっぱりズーズーが気になって、可哀想で、早く治してやりたい。
週2回の通院。
ココも14歳。
1週間前、鼻の奥にある鼻水を採取して、何の菌が悪さをしているのか調べる予定でした、、。
だけど、主治医は鼻水を採取するには、麻酔が必要で、あまり腎臓数値がよろしくないココには現実的ではない。
色々、話し合って、もしかしたらカビが原因かも…
それは、拭き取った鼻水に血が混じった感じのが出てきた。と伝えたから。
薬が効くまで少し時間がかかるけど、カビを疑って薬を飲ましてみようって事になった。
1週間、飲ませ続け、今日、ズーズーが、止まった‼️
ほんとに1ヶ月以上、ココの鼻水を心配し続けてほんとにやっと…です。
やっと手応えを感じられて安堵しました。
そして、妹と両親にマスクを送りました。
まだ、友人の分、家族の分、たくさん作らなきゃ‼️
ミシンがないので、布が重なった部分は針が入りにくいので、中指で押し込んでいたら…トホホ
早く、ミシン来て~‼️

そして、ワンちゃんチクチクも♥️

あっちもこっちもチクチク三昧です~(*^^*)



















30
最近のコメント