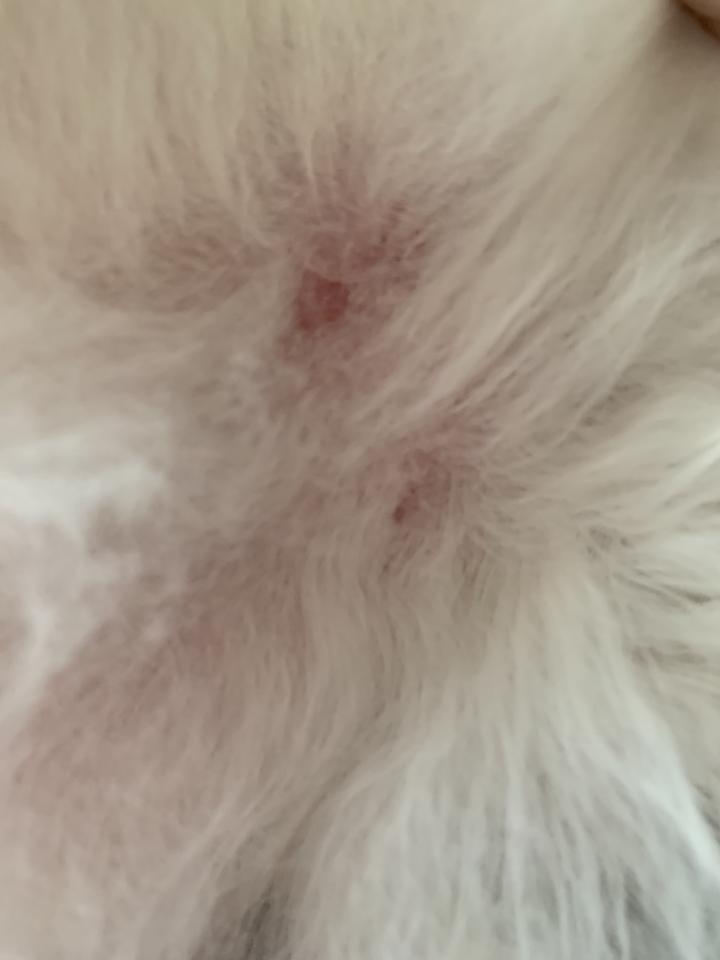
もなかの挫創(黒ニキビ)...
再発しちゃう挫創...


ボツボツが出てるうちは
まだ、軽症なんでしょうけど...
前回の写真よりも
アゴ腫れがややまた、大きくなり
そして
きなこの下腹の小さなキズの発見もあり、
昨日、2匹を病院へ連れて行きました。
やはり、
もなかは挫創による炎症。
飼い主として心当たりがあるのは
ウェットフードね...
間をそれなりに空けて与える分には
大丈夫なんだけど
続けてあげちゃうと... バクテリアのえさ。
ならば
ウェットフードあげなきゃいい
そうなのよ! ꉂꉂ😆
早い話、ソレなのよね(^^;;
でもね...
にゃんこは好きよね、ウェットフード
続けては与えず
今後のもなかのお食事の後は
お口周りの □ヾ(・∀・`o)フキフキ... が必要ね

一週間分の抗生物質を処方して頂きました。
腫れもちょっと大きいからと、
2日分だけ、ピンクのお薬も貰いました。
昨晩に飲ませたのですが、
今朝に腫れが小さくなりました (゚ロ゚)
ピンクのお薬は何かしら...
聞くのを忘れたので、後で確認します。
きなこの下腹のキズは

どうしたんでしょうかね... ( •́ •̀# )
ブラッシングで傷つけてしまったかしら...💧
キズ場所からみても、あの小さなキズは
それしか原因が思いつかないけど...
下腹のブラッシングは特に
気をつけているつもりでしたけど... 💧
滅多にブラッシングをしない娘が
最近、ブラッシングしたのもあったので
「 きなこを傷つけたな?! 」 と、
娘をイジメてみる母... 笑笑
きなこの下腹のキズは
本猫が気にしてないようなら
お薬も出さず、様子をみてみましょう
でした。
♂のもなかより、
きなこの方が体重があることに
獣医師さんがびっくりして爆笑してました。
「大丈夫でしょうかねぇ...」
「この子、ほんとお腹ぷよぷよ...」
「腹水とかではないですよね...?」
「まぁ、ぜんぜん元気なんですけど 笑 」
先生は笑いながら
「エコー撮ってみようか? 」
全く問題はなく、
「単なるおデブちゃん」と、言われました。
昨日の病院は
初めて行く病院です。
以前の日記で書いた、
ねこちゃんに優しいお客様...
あれ以来、来店される度に
たくさんお話して親しくさせて頂いてます♪
診察の見解も予測も付いていたのもあって
そのお客様...
おばちゃまが連れて行ってる病院へ
昨日はちょっと、連れて行ってみました。
そのおばちゃまが言っていたとおり、
女の獣医師さんのその病院は
確かに、良心的な料金でした。
ちょいと年配な女の獣医師さんは
とても気さくで、とにかく明るい先生
笑
これで8件の動物病院へ行ってますが、
まぁ、病院さまざまですね(^^;;
好きな獣医師さんです。

次は
こまめちゃんときなこの定期健診だ。



















32
最近のコメント