健康診断がてら病院へ連れて行きました。
相変わらず車の中では
切ない声でずっと鳴いていましたが、もう慣れました(^_^;)

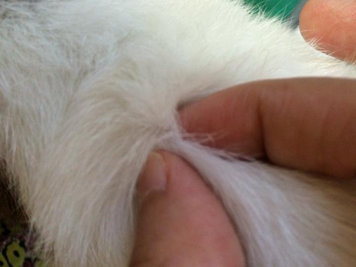
大きさ 3㎜
先生や、看護師(?)さんが
よく見つけましたね
猫は本来シコリができない動物です
少し様子を見て大きくなるようなら切除しましょう。
幸い、内側の皮にくっついているので切除しやすいです。
8月~9月に再度連れてきてください。
それまでに変化があれば連れてくるように。
健康診断の血液検査は、手術をすることになればしますから
その時にやりましょう。
全身麻酔でします。
ついでにスケーリングもしましょう。
日帰りで大丈夫です。
以上の事を言われました。
(私としては、少し大きくなってる気がしたので←先生には伝えました
とっとと切って欲しかったです。)
先生に
「会社の倉庫で飼ってるの?」
と聞かれたので
「いえ、蝶よ花よ と育てていますから・・・」
とは言いませんでしたが
会社の中で飼っていて、自由に行動させています。と伝えました。

真四角のおデブちゃんに見えますが
これでも3.98Kgで1年前と変わりませんでした。
正直 5kgあるかもしれないと思っていましたから(^_^;)

今日は疲れたようです。
注)蝶よ花よ は ことわざです。念のため。
~~~~診察料~~~~~
診察代 1,200円+税=1,296円



















18
最近のコメント