今日は久々の休日を満喫しております!!
昨日はお仕事で今日明日と2連休となります。
昨夜から山陰は雨模様でしたが、日が昇るにつれて天気は回復してくるようです。
ところで、日記へのアップは遅れちゃいましたが、以前に言っていましたセナちゃんの心臓の検査に先日行ってまいりました。(仕事を抜け出してm(__)m)
セナちゃんの検査は仕事より優先されます(-_-メ)
結果的には、セナちゃんのお腹の毛を剃られただけでした(^_-)-☆
要するに異常なしです~♪

みなさんの参考になればとセナちゃんの露わもない姿を紹介します。

これは、セナちゃんが避妊手術の時に撮影したレントゲンです。
心臓の形がハート型ポイ感じです。

拡大すると・・なんとなくハート型のような感じです。
心臓がハート型になるとバレンタインハートと言って「猫の肥大型心筋症」の疑いがあります。
肥大型心筋症は「心臓の筋肉(心筋)が肥大して、全身にうまく血液を送ることが出来なくなり、肺に水が溜まったり(肺水腫)、不整脈が現れたり、血栓症(大腿動脈血栓塞栓症)が発生しまし、突然死する事がある怖い病気です。
この時はまだ子猫でしたのハッキリした事が解らないとのことで半年後に再検査となりました。

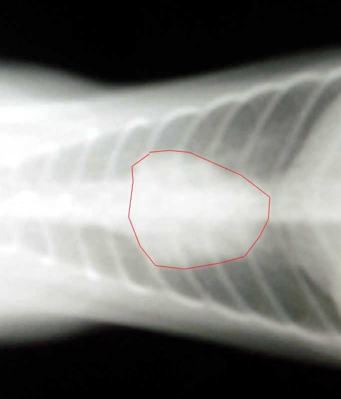
これが先日撮影したものです。
半年前と比べると体格も心臓も大きく成長してます。
左側にかすかに針のようなモノが見えますがICチップだそうです。

心臓の拡大です。
形が丸くなってハート型じゃなくなってます(^O^)
超音波で心筋の厚さとかを計測した結果、正常値で異常なし!
血液検査もほぼ規定値ないで問題ありませんでした。
心電図も不整脈等もなく綺麗な波形とでした!!
以後は特に異常がなければ検査の必要はないとのことでした。(定期検査を除く)
よかったよかったっす♬
当日は朝に病院にお預けして、夕方お迎え。
帰宅するとセナちゃんはグッタリしてご飯を食べるとすぐに就寝しました。
疲れたんですね。
ニャンにゃ♪(セナは異常なかったニャンね♪)
「そうだよ、心臓は正常、そのほかも異常なしだったよ」
ニャン~ん♪(これでいっぱいオヤツも食べれるニャン♪)
「体重は2.6kgだったね。3kg以内にしましょうって先生が言ってたよ」
ニャ~♪(いっぱい遊ぶから大丈夫にゃん♪)
「はいはい、おやつはホドホドニね」
ニャン♪(は~い♪)
今日もいつもどおり元気いっぱいです。
これからも元気で楽しく暮らそうね。



















23
最近のコメント